
- 聯系電話:
0851-86571340
發布時間:2021-05-24 10:39 發布者:貴州亞華拍賣有限公司 訪問次數:2970次
拍賣公告
受普定縣馬官供銷合作社委托,我公司定于2021年6月11日(星期五)下午14 :30時,在 普定縣供合作社股金服務中心二樓 公開拍賣以下標的:
標的一:普定縣馬官供銷合作社水井坎倉庫閑置資產,建筑面積:約1774.79㎡,宗地面積:約2297.51㎡。
標的二:普定縣馬官供銷社后坡門市部閑置資產,建筑面積:約697.38㎡,宗地面積:約381.45㎡。
標的三:普定縣馬官供銷社馬官制革廠閑置資產,建筑面積:約2261.87㎡,宗地面積:約4633.53㎡。
標的四:普定縣馬官供銷社化肥倉庫閑置資產,建筑面積:約439.68㎡,宗地面積:約1180.21㎡。
展樣、報名時間:2021年6月7日至2021年6月11日(上午9:00至下午17:00,6月11日報名截止中午12:00,以保證金到賬時間為準),節假日除外。
展樣地點:標的物所在地。
報名咨詢點:普定縣馬官鎮馬堡居委會辦公室。
咨詢電話:貴州亞華拍賣有限公司: 0851-86827936
18586818558(邵先生)
有意競買者,請帶身份證等有效證件報名,詳情備有資料。
貴州亞華拍賣有限公司
2021年5月21日
標的詳情
拍品編號1:普定縣馬官供銷社水井坎倉庫閑置資產
建筑面積:約1774.79㎡
宗地面積:約2297.51㎡
起拍價:138.08萬元
保證金:20萬元
標的描述:
標的坐落安順市普定縣馬官街上(水井砍),該位置是馬官鎮的鎮中心,不臨靠街道,與街道間隔一排房屋,標的建筑分布類似于四合院,門口是原馬官鎮工商局。
建筑面積約為1774.79㎡,土地使用權的宗地面積約為2297.51㎡,房屋結構為磚混、磚木,建筑由于修建年限時間較長,部分房屋已損壞、垮塌。
定位圖

宗地圖

標的圖片
拍品編號2:普定縣馬官供銷社后坡門市部閑置資產
建筑面積:約697.38㎡
宗地面積:約381.45㎡
起拍價:63.75萬元
保證金:10萬元
標的描述:
標的坐落于安順市普定縣馬官街上(后坡),該位置是馬官鎮的鎮中心,位置面臨街道,一層為臨街門面,臨街對面是中國郵政儲蓄銀行(普定縣馬官鎮營業所),離馬官鎮政府較近。
房屋建筑面積約為697.38㎡,土地使用權的宗地面積約為381.45㎡,房屋的結構為磚混、磚木,建筑由于修建年限時間較長,二至三樓長時間無人居住,致部分門窗已損毀,且房屋的部分已損壞、垮塌。

定位圖

宗地圖

標的圖片
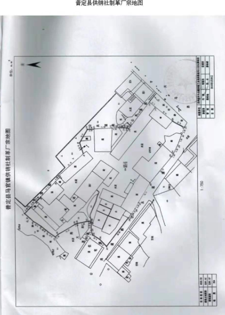
拍品編號3:普定縣馬官供銷社馬官制革廠閑置資產
建筑面積:約2261.87㎡
宗地面積:約4633.53㎡
起拍價:295.12萬元
保證金:40萬元
標的描述:
標的坐落于安順市普定縣馬官街上(原皮革廠),該位置是馬官鎮中心該,標的面臨街道,位于海清路和興馬路交叉處,附近有馬官鎮中心學校。
屋建筑面積約為2261.87㎡,土地使用權的宗地面積約為4633.53㎡,房屋結構為磚混、磚木,該地上房屋的部分房屋已損壞、垮塌。
定位圖
宗地圖
標的圖片
拍品編號4:普定縣馬官供銷社化肥倉庫閑置資產
建筑面積:約439.68㎡
宗地面積:約1180.21㎡
起拍價:128.06萬元
保證金:20萬元
標的描述:
標的坐落于安順市普定縣普馬公路旁(新堡),具體位于馬官鎮與普定縣城主要交通要道之一的興馬路旁,對面是安順市普定縣心里康復中心,附近有青山水庫,離普定縣黨校大約1.6公里。
建筑面積約439.68㎡,土地使用權的宗地面積約1180.21㎡。建筑物修建類似四合院,只有一個出入口,房屋修建年限較長,所以部分房屋已損壞、垮塌。

定位圖

標的圖片
